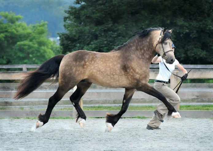
Gallod Auryn
Quillane Welsh Cobs regretfully wishes to inform our fans and followers on the unexpected passing of our stallion, Gallod Auryn on January 11th, 2019 at the age of 13.
15.2 hh+ | buckskin | 4 white ankles | star
2006 Welsh Cob Stallion (*Nebo Calonog x Gallod Rhosyn Aur) purchases as a weanling from the Gallod Stud, Manitoba Canada. “Auryn” is pronounced “I – Rin” Lofty movement, kind temperament, type, and brains. He had a superior work ethic and willing attitude. Auryn won overall supreme champion in hand at Ponies on the Hudson in 2010, and placed third Nationally for WPCSA high point mature section D stallions.
He sustained a hock injury as a foal and the prognosis was that he would never have a riding career. Despite this he placed second in the USEF 4 year old test at NEDA Spring 2010, and earned scores up to 68% throughout the season at rated competitions at training level with AA rider Amy Riley.
His Get have consistently produced results for owners in the welsh breed rings, dressage, and working equitation arenas. Quillane Authentic and Quillane Accolade (2024) are available at stud through Quillane Welsh Cobs
OFFSPRING
-

Quillane Ambition
2019 black gelding out of Dellas Dancing Duchess
-

Quillane Accolade
2019 perlino stallion out of Stonecroft Gold Medallion. Owned by Wolf Run Farm, Loxahatchee, Florida. AT STUD 2024
-

Quillane Authentic
2018 buckskin stallion out of Dellas Dancing Duchess.
-

Quillane Absolute
2012 red dun gelding out of Dellas Dancing Duchess
-

Quillane Audacious
2013 bay mare out of Dellas Dancing Duchess. Ffreywn Welsh Cobs, Ontario.
-

Quillane Adele
2013 smokey black filly out of Coblynau Cemaes
-

RWC Anwen
2015 bay filly out of Talywern Magics Choice. Bred by Kim Ralston, Ryeland Welsh Cobs, Ontario.
-

RWC Atreyu
2015 buckskin colt out of Madoc Belle. 2015 bay filly out of Talywern Magics Choice. Bred by Kim Ralston, Ryeland Welsh Cobs, Ontario.
Memories
Gallod Auryn was produced by AA owner / rider Amy E. Riley.
